Southwest Houston

6808 Hornwood Dr, Houston, TX 77074

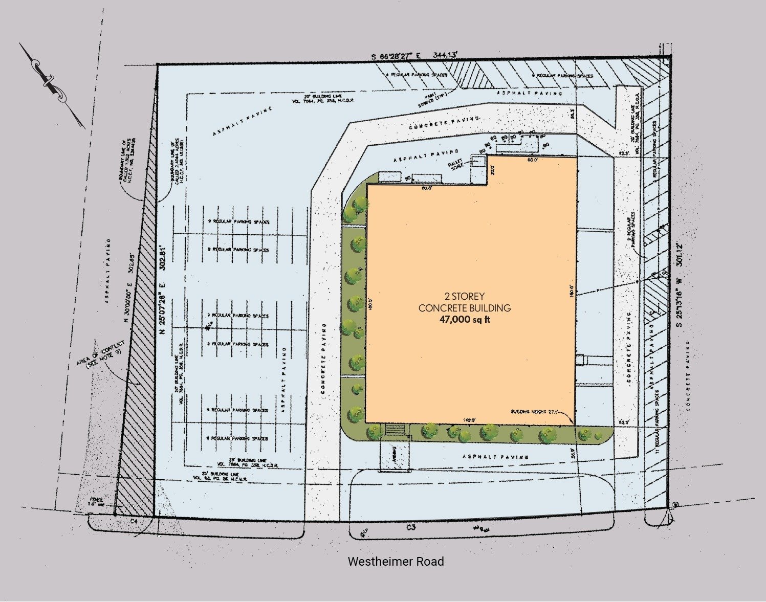
This address belongs to the Mody HQ at Houston spanning 47000 sq ft . It is a steel and tilt wall, 2 story office and distribution facility. The land size is 109,161 sq ft of commercial real estate built in 1962.

It is located close to PlazAmericas, it has a Latin American theme and catered to Hispanic and Latino Americans. Formerly known as Sharpstown Mall ,the mall is located on U.S. Route 59 and Bellaire Boulevard. The area includes the Jewelry Exchange Center, a ten story building.The property includes an 83,000 sq ft marketplace that has many smaller businesses, a large family lounge, live entertainment stages, and a children’s play area.

  • Status : Ready to move
  • Type : Office
  • Area : 47,000 Sq. Ft
  • Location : Houston, TX
  • Year Built : Project Year Built

Space Availability

Space Size Rent Type
1st Floor 47,000 sq ft -
Southwest Houston

Amenities

Surveillance

Surveillance

24x7 CCTV coverage for security and a potent deterrent against trespassing, theft and vandalism.

Landscaping

Landscaping

Clean and manicured property with routine lawn maintenance, ornamental care, and scheduled clean-ups.

Parking

Parking

Convenient car parking facility available with surveillance security.

Trash Cleaning

Trash Cleaning

Regular trash disposal and waste management are carried out to keep property clean with hygienic environment.

Tenant Signage

Tenant Signage

Create a positive and impactful impression on your visitors and oncoming traffic with thoughtfully placed signage sports.

Consultation

Consultation

In-depth right advice and guidance offered to your commercial space needs with honest opinions.

Inquiry

Thank you for getting in touch!
We appreciate you contacting us. One of our colleagues will get back in touch with you soon!Have a great day!